Büyükşehir’den Ata Bulvarı'nı rahatlatacak hamle

Bursa Büyükşehir Belediyesi tarafından Ata Bulvarı-75.Yıl Bulvarı kavşak alanında yaşanan trafik karmaşasını gidermek amacıyla yürütülen düzenleme çalışmaları tüm hızıyla sürüyor.

Haber Giriş Tarihi: 18.03.2025 11:20
Haber Güncellenme Tarihi: 18.03.2025 11:20

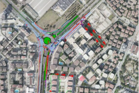
Bursa’nın daha yaşanabilir bir kent olması ve daha konforlu bir ulaşım ağına kavuşması için birçok projeyi hayata geçiren Büyükşehir Belediyesi, kent içi trafiğin düğüm noktalarından olan Acemler’in ardından Ata Bulvarı ile 75.Yıl Bulvarı’nda da çalışma başlattı. Kentin önemli geçiş noktalarından biri olan kavşağın doğu bölgesinde halihazırda trafik akışına yönelik herhangi bir yönlendirme bulunmaması ve her yönden araç girişinin olması sebebiyle karmaşa yaşanıyodu. Bu durum sinyalizasyon sisteminde optimizasyon sağlanmasını da imkânsız hale getirirken, vatandaşların kavşak alanında normalin üstünde zaman kaybetmesine neden oluyordu. Ulaşım Dairesi Başkanlığı tarafından yapılan düzenlemelerle Ata Caddesi’nin kavşak bağlantısı, yalnızca Mudanya Yolu tarafından olacak şekilde yeniden kurgulandı. Çalı Kavşağı yönünden gelen araçların kavşağa bağlantısı, mevcut imar yollarından yönlendirilerek sağlanıyor. Düzenleme kavşakta bulunan sinyalizasyon sisteminin daha verimli çalışmasını sağlarken, tek yön uygulaması da araçların kavşaktan en kısa sürede ayrılmalarına olanak tanıyacak. Ulaşım Dairesi Başkanlığı’na bağlı ekiplerin, dolgu ve kazı çalışmaları ise tüm hızıyla sürüyor. Yol genişletme işlemlerinin ardından yol üzerinde düzenleme çalışmalarına geçilecek. Bursa’nın en önemli sorunlarının başında ulaşımın ve trafiğin geldiğini söyleyen Bursa Büyükşehir Belediye Başkanı Mustafa Bozbey, trafiğin tıkandığı yerlerin tespitini yaparak hızlı bir şekilde müdahalelerde bulunduklarını belirtti. Ulaşım konusunda birçok yatırım yaparak trafiği rahatlatmayı hedeflediklerini ifade eden Başkan Bozbey, “Ata Bulvarı-75.Yıl Bulvarı kavşağının Ata Caddesi bağlantısında herhangi bir yönlendirme bulunmadığı için kavşağa her yönden giriş yapan araçlar nedeniyle karmaşa yaşanıyordu. Bizlerde bilimsel verilere dayanarak yaptığımız çalışmalar sonucunda harekete geçtik. Ata Caddesi’nin kavşak bağlantısını, yalnızca Mudanya Yolu tarafından olacak şekilde yeniden kurguladık. Amacımız, trafik ve ulaşım sorununu en aza indirerek rahat ve konforlu ulaşımı sağlamak” dedi.